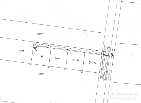
This is 2920 sq m plot including four equal pieces of land situated in a delightful village amongst the evergreen hills of Eastern Balkan Mountain. It is located 18 kilometres away from the sea and Sunny Beach. Burgas - fourth largest town in Bulgaria and the International Airport are just 30 kilometres away.
All four regulated plots of land are square shaped - 730 sq m each. They are nicely set next to each other; just outside the village. Each plot is suitable for building a cosy holiday home. Existing planning permit for up to three storey house. The amazing views are towards the mountains.
Great developing opportunity with the possibility to build up to 8 semi-detached houses or up to 24 apartments.
The price of the whole 2920 sq m plot is 96 360 euro.
