This is yet another investment property for sale, located in the picturesque north-central Bulgaria. We are offering you a large piece of land, situated near the town of Pavlikeni, Veliko Tarnovo area. The property is on the outskirts of a beautiful village, 12 km from Pavlikeni and 37 km from Veliko Tarnovo.
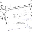
The land has total area of 6836 sq m. It is fully regulated, supplied with water and there is a well. The electricity is only at 150 meters. On the parcel there are two concrete buildings, each 600 sq m in size. The land borders asphalted roads from the east, north and west. The parcel is totally flat and ready for building.
This property presents itself a great investment opportunity. It is suitable for construction an animal farm, warehouse, or other commercial facility.
