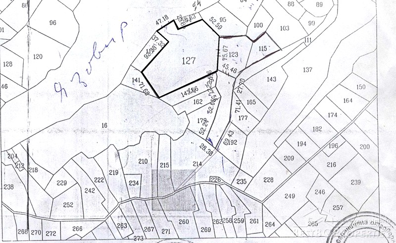
Good investment opportunity to purchase a huge plot of 25 000 sq m situated on the shore of the Sopot Lake. The village is situated at the foot of the West Stara Planina Mountain between the towns of Teteven and Troyan only 30 km from the highway A2 to Sofia. The plot has irregular form adjoining to the lake /50 m of the shore/. It borders with dirt road and other plots /please look at the sketch attached/.
The property includes also two houses. The first one is two storey with total living area of 80 sq m distributed between one room and a cellar downstairs and two more rooms on the upper floor. An external wooden floor leads to a small terrace on the second floor.
Right next to this house there is a smaller one that offers three rooms comprising 50 sq m living area. Both buildings need repairs to become livable. Water and electricity are available.
Once you purchase the property you could build a holiday village there. The area is quite peaceful and unspoiled providing good opportunities for fishing and hunting. The lake is close to the village of Lesidren currently developing as a vacation settlement.
